三立新聞網
三立藝能
追蹤娛樂星聞
FB
YT
threads
1
⚑
三立新聞直播
孫安佐爭議
百味人生
即時
熱門
熱搜
星聞
綜藝
戲劇
日韓
電影
音樂
專題
影音
節目
圖輯
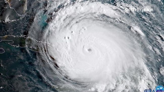
艾瑪颶風襲佛州
★
颶風艾瑪肆虐 數千隻紅鶴扭曲慘死
2017/09/14 15:19
號稱大西洋史上最強的怪獸級颶風「艾瑪」10日直撲美國佛州,強風豪雨不僅造成多人死傷,更有超過650萬戶因此停電,災情相當慘重。儘管已減弱為熱帶風暴,但仍持續肆虐美國內陸,遭到重創的加勒比海慘不忍睹,更為古巴帶來嚴重災情,當地有數千隻紅鶴慘死,橫屍遍野,場面看了令人怵目驚心。
★
艾瑪颶風襲美國!鱷魚順遊內陸逛大街
2017/09/13 22:13
號稱大西洋史上、最強颶風的「艾瑪」,現在持續往美國內陸肆虐,但遭到重創的加勒比海和佛州,狀況真的是慘不忍睹。衛星照片上,原本綠油油的小島,風災過後變成一片枯黃,災區忙著進行救援和善後,但許多地方卻又爆發搶劫亂象。美國佛州各地,不只洪水還沒退,原本居住在沿岸沼澤地的鱷魚,也被大水帶進內陸,讓居民連走在路上,都得要提心吊膽。
★
好萊塢巨星當接線生 颶風賑災募4億
2017/09/13 22:05
美國近期接連遭颶風「哈維」與「艾瑪」侵襲,造成60多人死亡、100多萬人無家可歸。好萊塢巨星為了響應賑災,充當接線生號召募款,包括李奧納多狄卡皮歐、「鳳凰女」茱莉亞羅勃茲、喬治克魯尼、湯姆漢克、與小賈斯汀等,登高一呼,1小時就募集1400萬美元,相當於新台幣4.2億元。
★
颶風艾瑪襲美 「暴潮」洪災才剛開始
2017/09/12 13:52
大西洋史上最強颶風「艾瑪」,登陸美國佛州帶來強風豪雨,超過650萬戶停電。艾瑪目前已經減弱為熱帶風暴,進入喬治亞州,當地進入緊急狀態,在佛州、喬治亞州和南卡羅來納州,總計造成10人喪命。
★
艾瑪降為熱帶風暴 州長警告:勿外出
2017/09/11 21:41
美國國家颶風中心(NHC),在當地時間11日上午表示,颶風艾瑪(Irma)已減弱為熱帶風暴,目前仍持續往西北方穿越佛羅里達州,預計明晚會再降為熱帶性低氣壓。
★
怪獸級颶風「艾瑪」登陸佛州 致4死
2017/09/11 11:07
怪獸級颶風「艾瑪」(Irma)昨(10)日直撲美國佛羅里達州西岸,雖然威力降為2級颶風,但目前已造成4人死亡、約250萬戶住家和公司停電。
★
颶風艾瑪吸乾海水 汪洋一夕間消失…
2017/09/11 10:18
「怪獸級」颶風艾瑪破壞力超強大,所到之處盡是滿目瘡痍,目前已經從加勒比海往美國佛州撲去。有巴哈馬長島民眾發現,艾瑪經過時「吸走」了海水,一片汪洋變成光禿禿的海床,民眾都看傻眼了!
★
怪獸颶風入佛州 7百萬人大撤離
2017/09/10 20:42
颶風艾瑪在肆虐古巴後,今(10)日再增強為4級,挾帶最大風速每小時210公里的強風,直撲美國佛州,暴風圈預計在今日登陸,恐掀起4.6公尺巨浪,足以直接淹沒民宅。目前包括佛州、喬治亞州與南卡羅來納州等地,當局要已撤離700萬人。邁阿密市直到今日清晨7時前也實施宵禁,截至今日上午已有22萬多戶停電,颶風登陸後可能高達340萬戶有斷電危機,若真的發生,將打破美國斷電紀錄。
★
颶風艾瑪將襲佛州 機票漲十倍仍搶翻
2017/09/10 15:58
大西洋有史以來第2大颶風「艾瑪」肆虐加勒比海,現在正朝美國佛州前進,已經有700萬人被撤離,佛州州長呼籲「立刻逃命」,超市裡的物資全被搶光,加油站也幾乎沒油,路上湧現車潮。為了躲颶風,民眾攜家帶眷開車避難,在航班取消之前,大批民眾想趕快飛離佛羅里達,儘管機票漲價10倍,還是一票難求!
★
颶風直撲佛州!金獎影后失言扯川普
2017/09/09 19:10
颶風艾瑪在掃過加勒比海之後,造成當地景像觸目驚心,現在轉向美國佛州,當地州長發布緊急命令,撤離危險地區民眾,而金獎影后珍妮佛勞倫斯,卻暗示颱風帶來的災害和民眾投票給川普有關係。
★
艾瑪威力重新升級 佛州撤560萬人
2017/09/09 17:46
根據佛羅里達州緊急事故管理單位,隨著恐怖颶風艾瑪逼近,佛州已要求560萬人撤離。
★
颶風接連重創美國 IS製圖笑現世報
2017/09/09 17:41
上個月颶風「哈維(Harvey)」才重創美國德州休士頓,怪獸級颶風「艾瑪(Irma)」又接著報到,所到之處滿目瘡痍,已造成加勒比海地區20人死亡,不過伊斯蘭國IS卻對此幸災樂禍,製圖嘲諷美國現世報,還大讚艾瑪是真主派來的戰士。
1
2
最新圖輯
茉ひるMahiru專訪
簡莉紋專訪
大霈專訪
劉冠廷專訪
林予晞、王真琳專訪
HOT焦點
遠東生技行銷60國 微藻成新一代營養關鍵
台灣大連續4度獲選最受尊崇企業
115年全障運開幕 鄭竣逸、吳于嫣點聖火
更多焦點+
熱門人物
直播✦活動
三立新聞網
為了提供更好的閱讀內容,我們使用相關網站技術來改善使用者體驗,也尊重用戶的隱私權,特別提出聲明。
了解最新隱私權聲明
知道了