三立新聞網
三立藝能
追蹤娛樂星聞
FB
YT
threads
1
⚑
CH54三立新聞台直播
曹西平猝逝
百味人生
即時
熱門
熱搜
星聞
綜藝
戲劇
日韓
電影
音樂
專題
影音
節目
圖輯
蘇拉颱風最新動態
★
蘇拉颱風恐齊發海陸警 海葵未來路徑曝光
2023/08/28 22:14
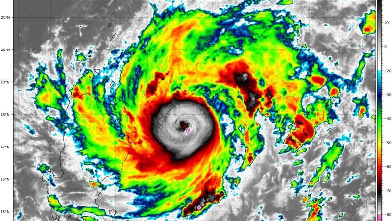
今年第11號颱風「海葵」今(28)日生成,目前太平洋海面上有三個颱風,分別為蘇拉、丹瑞、海葵。對此,氣象粉專「天氣風險 WeatherRisk」指出,今日太平洋面上現存著3個颱風,確實有點熱鬧,並分享3個颱風未來的發展或可能的影響。
★
蘇拉週三、四逼近台灣 雨勢最大地區曝光
2023/08/28 21:07
目前西北太平洋共有3個颱風,形成3颱共舞的局面,三力氣象主播吳德榮表示,丹瑞颱風會越跑越遠,對台灣無影響;不過蘇拉颱風及今(28)日生成的海葵,未來是否產生藤原效應,仍有待觀察。而蘇拉預計今晚發布海警,週三、週四對台灣影響最劇烈。
★
蘇拉颱風閃過台灣?最新預測「還差一點」
2023/08/28 20:28
「蘇拉」颱風預估周三、周四最靠近台灣,中央氣象局今(28日)晚將會發布海上颱風警報,陸警預估會在明日下半天發布。對此,氣象粉專「台灣颱風論壇|天氣特急」就分享最新的歐洲模式系集圖,並說「離安全下莊,還差一點,但在機率還不是零的前提下,先不要完全放鬆哦」。
★
開學日遇颱風 東半部、南部颱風假機率高
2023/08/28 19:18
「蘇拉」颱風預估週三、週四最靠近台灣,剛好就是學生的開學日,會不會正巧遇上「開學就放颱風假」的情況。氣象局預估,以目前颱風的路徑來看,暴風圈侵襲率突破六成以上的地區,落在「南高屏、台東、跟離島」,風勢、雨勢都不容忽視。
★
蘇拉估明發陸警 恐與海葵聯手衝台路徑曝
2023/08/28 19:14
今年第11號颱風海葵今(28)日生成,氣象粉專「用事實說颱風」透露,海葵是否襲台,要等到周四後再觀察。至於蘇拉預計明(29)日午後發布陸警,與海葵可能產生互動,氣象局無法排除其可能性,因此週三後路徑可能仍存在未知變數。
★
「海葵三世」生成 專家曝11年前驚人巧合
2023/08/28 18:00
輕颱「海葵」今日上午在關島西方太平洋海上正式生成,不排除未來恐對台灣造成影響。對此,臉書「台灣颱風論壇|天氣特急」粉專表示,預估海葵後期會是一個偏大型的颱風,雖距離較遠,但仍有可能對北部造成影響,相關動態需要仍需持續觀察。
★
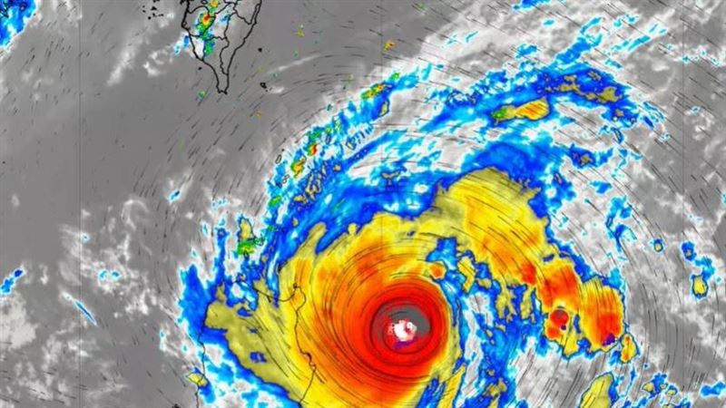
蘇拉重返強颱!氣象局估23:30海警
2023/08/28 17:59
中央氣象局表示,可能會在今(28)日晚間23:30針對今年第9號颱風「蘇拉」發布海上颱風警報;至於陸警預估會在明日下半天發布,請民眾多加關注最新颱風資訊。(記者:楊晏琳)
★
新/蘇拉來勢洶洶 太平山週二16時起休園
2023/08/28 16:23
9號颱風蘇拉正朝台灣東南方海域行進,根據中央氣象局的預測,東部地區週二(29日)下半天將出現明顯降雨,林業及自然保育署宜蘭分署宣布太平山週二下午4時起預警性休園。(記者:陳弋)
★
蘇拉進逼!各地暴風圈侵襲機率曝
2023/08/28 16:14
颱風「蘇拉」目前仍處於中颱上限,中央氣象局今(28)下午表示,蘇拉在逐漸接近台灣的過程中,強度可能會再增強,再度變回強烈颱風。根據最新資料,蘭嶼、恆春的暴風圈侵襲機率都近8成,提醒民眾務必多加注意。(記者:楊晏琳)
★
蘇拉颱風靠近 釋迦果農搶收、漁船全靠岸
2023/08/28 15:52
蘇拉颱風靠近,東台灣首當其衝,氣象局預估30~31日開始影響,須嚴防豪大雨勢來襲,不只農民搶採收,漁船也全都靠港,綁緊船隻。
★
3颱共舞 海葵暴風圈將「籠罩半個台灣」
2023/08/28 15:38
今年第11號颱風「海葵」今(28)日生成,目前太平洋海面上有三個颱風,分別為蘇拉、丹瑞、海葵。日本氣象協會預測,海葵預計向西北移動並增強,約於9月1日逼近沖繩地區,從路徑圖也可以看見,海葵將籠罩半個台灣。
★
航班更新/蘇拉近逼!離島航線一次看
2023/08/28 12:19
蘇拉颱風近逼台灣,氣象局表示有機會再增強成強颱,預估今(28)日晚間到週二清晨發布海上警報;行駛台東到蘭嶼和綠島的客輪,今日傍晚起全部停航,行駛小琉球的客輪,30日午後停航、31日全天停航,最新離島船班公告,《三立新聞網》帶您掌握。(賴俊佑)
8
9
10
最新圖輯
羅志祥30周年演唱會
凱琳專訪
黃鐙輝、吳念軒、黃騰浩專訪
第62屆金馬獎得獎後台
第62屆金馬獎紅毯
HOT焦點
淡水運動中心 全臺首座高爾夫戶外推桿場
林岱樺憶亡父林三郎 誓守護贏回高雄尊嚴
從紙出發實踐循環 何壽川發新書分享經驗
更多焦點+
熱門人物
直播✦活動
三立新聞網
為了提供更好的閱讀內容,我們使用相關網站技術來改善使用者體驗,也尊重用戶的隱私權,特別提出聲明。
了解最新隱私權聲明
知道了