三立新聞網
三立藝能
追蹤娛樂星聞
FB
YT
threads
1
⚑
CH54三立新聞台直播
星廚之戰
百味人生
即時
熱門
熱搜
星聞
綜藝
戲劇
日韓
電影
音樂
專題
影音
節目
圖輯
颱風又擾台
★
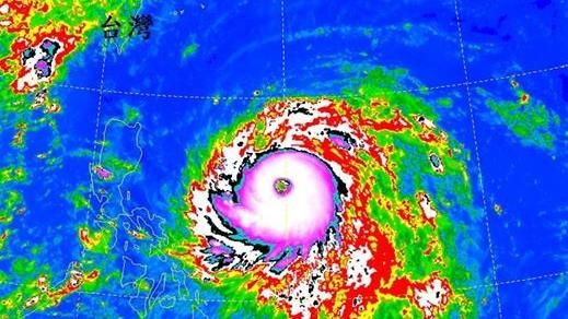
眼牆置換完成 鄭明典:海馬恐增強
2016/10/18 19:40
今(18)日凌晨轉強颱的海馬,雖然不會直接侵襲台灣本島,但其外圍環流仍會影響台灣天氣狀況,預估長達4天左右。不僅如此,中央氣象局氣象預報中心主任鄭明典也在晚間於臉書上表示,海馬眼牆置換終於完成,現在的強度已逐漸恢復到最強壯況,但一旦新眼牆中心(颱風眼)再清澈一點的話,海馬的強度將可能再提升。
★
海馬對台灣影響4天 這7縣市須慎防
2016/10/18 17:36
今年第22號颱風「海馬」已於18日凌晨增強為強烈颱風,根據中央氣象局預測和觀察,海馬仍有增強的空間,預計最快明日上午發佈海上警報。雖然就目前來看,海馬不會直接朝台灣撲來,但台灣颱風論壇提醒,「週四的轉折是關鍵」,它對台灣影響的大小仍要看轉向的時間及北轉的幅度來判定,但可以確定的是,未來4天台灣的天氣都會受到影響,特別是東半部及恆春半島,可能有局部較大雨勢發生。
★
海馬有新眼牆!鄭明典:颱風恐增強
2016/10/18 12:05
強颱海馬來勢洶洶,中央氣象局預計明(19)日會發布海上警報,但海馬颱風的威力可能還會再增強,讓網友忍不住說:「海馬要進化成海龍了!」
★
彭啟明:海馬是具規模及威脅的颱風
2016/10/18 09:39
第22號颱風海馬今晨已轉為強颱,颱風眼清晰可見,目前位於台灣東南東方約1500公里處,持續擴大往巴士海峽接近。天氣風險公司總經理彭啟明今(18)日在臉書發文指出,海馬的7級風暴風半徑擴大為220公里,周四、周五這段期間,尤其靠近菲律賓前,颱風仍有增強增大的空間,海馬是一個具有規模及威脅的颱風。
★
強颱回頭殺西部?一張圖看路徑怎麼走
2016/10/18 08:41
強颱「海馬」續擴大並逐漸靠近台灣,預計外圍周四、周五影響東部。氣象局最快明天(19日)上午將發布海上警報。中央氣象局氣象預報中心主任鄭明典今早也在臉書PO文提醒,幾乎所有電腦模式預測的路徑都有相同特徵,就是海馬很可能「繞著台灣」轉入西風帶。
★
海馬今晨轉強颱 最快明發海警
2016/10/18 07:19
今(18)日受東北風影響,在宜蘭地區、基隆北海岸及新北市山區有時會出現較大雨勢,有局部大雨的機率,花東也會有局部短暫雨,西半部大多為多雲到晴;溫度方面,各地最低溫約24到26,早晚有涼意,白天高溫西半部約31到34度,東半部約29到32度。
★
海馬恐轉強颱 專家預估暴風圈再擴大
2016/10/17 14:05
太平洋上雙颱環伺,中颱莎莉佳對台灣影響相對小,後頭的海馬來勢洶洶,周四周五最靠近台灣,很可能轉為強颱,加上它的螺旋雨帶寬廣厚實,直徑長達一千公里,宜蘭、花蓮、台東,以及恆春半島得要嚴防豪雨,氣象局預報中心主任鄭明典就說,海馬增強的潛勢高,中心的強對流穩定發展中,它的威力不容小覷。
★
颱風近台 吳德榮:花東屏易劇烈降水
2016/10/17 09:50
根據中央氣象局最新颱風資料,第22號中度颱風海馬目前在鵝鑾鼻東南東方約2130公里的海面上,氣象局預測,19日晚起至21日,海馬外圍雲系將影響台灣天氣,氣象專家吳德榮今天(17日)在洩天機教室指出,以目前路徑推估,20日、21日外圍環流及東南風與地形交互作用,台東、花蓮及屏東易有劇烈降水。
★
莎莉佳颱風影響 台灣虎航航班提前飛
2016/10/17 09:40
旅客注意!受莎莉佳颱風路徑及外圍環流影響,基於飛行安全考量,台灣虎航10月17日最新航班異動情形如下:
★
海馬颱風增強!專家籲這周活動要調整
2016/10/17 09:21
海馬颱風昨天(16日)增強為中度颱風,中央氣象局預報中心主任鄭明典今天(17日)在臉書指出,海馬螺旋雲系直徑超過1000公里,而且增強的潛勢高,預期外圍環流可能影響台灣。
★
雙颱接力影響 未來一周全台濕濕濕
2016/10/16 09:21
目前太平洋地區有2個颱風,分別為第21號颱風莎莉佳、第22號颱風海馬。根據氣象局資料顯示,莎莉佳目前位於菲律賓東方近海,未來將通過呂宋島至南海,預計今(16)天晚上開始到下週二其外圍雲系將影響台灣的天氣,將為東半部地區及恆春半島帶來局部大雨,而南部及北部地區也有局部短暫雨的機率。
★
輕颱「海馬」生成!最快下周四影響台
2016/10/15 10:18
又有颱風生成!今(15)日上午8時,位於關島南方海面上的熱帶性低氣壓發展為輕度颱風,這也是今年度第22號颱風,中文譯名為「海馬」,恐在下周四影響台灣陸地。
1
2
最新圖輯
第62屆金馬獎得獎後台
第62屆金馬獎紅毯
劉書宏專訪
袁澧林、陳孝萱專訪
第36屆金曲獎星光大道
HOT焦點
海爾廚衛專攻小家庭 2026新品曝光搶市
浴室翻修需求增 一太e衛浴帶動市場發展
《上山吧!台灣隊》創舉!征服非洲之巔!
更多焦點+
熱門人物
直播✦活動
三立新聞網
為了提供更好的閱讀內容,我們使用相關網站技術來改善使用者體驗,也尊重用戶的隱私權,特別提出聲明。
了解最新隱私權聲明
知道了