三立新聞網
三立藝能
追蹤娛樂星聞
FB
YT
threads
1
⚑
CH54三立新聞台直播
曹西平猝逝
百味人生
即時
熱門
熱搜
星聞
綜藝
戲劇
日韓
電影
音樂
專題
影音
節目
圖輯
蘇拉颱風最新動態
★
新/氣象局:第12號颱風「鴻雁」生成
2023/08/30 21:48
記者谷庭/台北報導中央氣象局晚間表示,原位於關島東方海面的熱帶性低氣壓,於今(30)日20時發展為輕度颱風,編號第12號鴻雁颱風,預測向北移動,短期對台灣無直接影響。
★
蘇拉強度達顛峰!最快解除陸警時間曝光
2023/08/30 21:40
「蘇拉」颱風暴風圈侵台,中央氣象局預估今、明(30、31日)兩天會最接近台灣,而陸上警報何時才會解除呢?氣象專家吳德榮表示,目前蘇拉颱風已發展到最大強度,解除的最佳時機,需等到暴風圈脫離台灣南端。
★
蘇拉颱風將解除陸警!雨區擴大至彰化以南
2023/08/30 21:13
記者谷庭/台北報導中央氣象局說明強颱蘇拉最新動態,目前路徑往南修,且移動速度快,最快在今深夜或明清晨就除就可脫離陸上警戒範圍,解除陸上颱風警報,強度也會減弱也可能變為中度颱風。
★
不斷更新/颱風假掰了?全台停班停課一覽
2023/08/30 20:27
中央氣象局根據最新資料指出,第9號颱風「蘇拉」中心目前在鵝鑾鼻南南西方海面,向西北轉西北西移動,其暴風圈已接觸台灣南端陸地,對屏東及恆春半島構成威脅。全台關注明(31)日是否放颱風假,《三立新聞網》將為您即時更新停班課最新資訊。
★
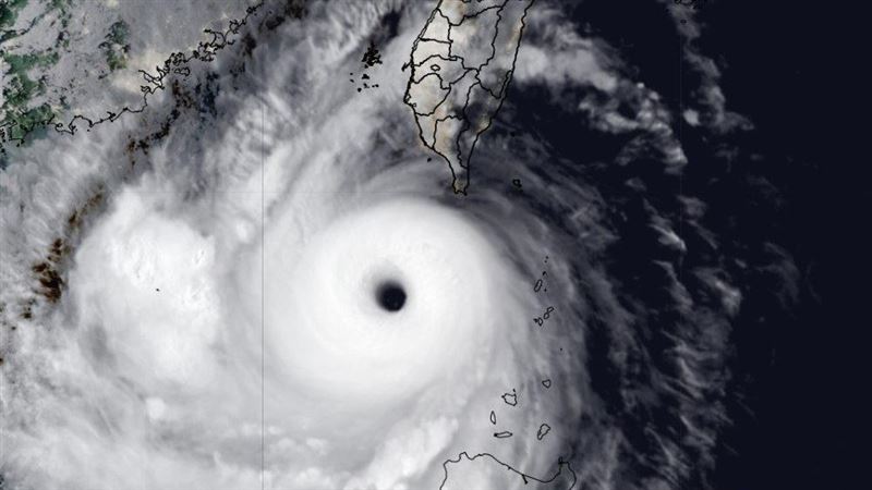
幸好閃過台灣!蘇拉「清晰颱風眼」照片曝
2023/08/30 19:44
強颱蘇拉替恆春半島帶來強烈雨勢,氣象局指出,蘇拉接觸台灣陸地的時間大概是12小時左右,預計今(30)日深夜至明(31)日清晨就會脫離,陸上警報最快有機會在今晚11時30分解除,海上警報可能在週五(9月1日)清晨解除。氣象達人彭啟明就在臉書曬出照片,只見蘇拉颱風眼清晰可見,直呼「真的要很慶幸閃過蘇拉颱風!」
★
強颱蘇拉進入南海 迎「一生的強度巔峰」
2023/08/30 19:37
強烈颱風蘇拉掠過巴士海峽,造成台南、高雄、屏東等地出現劇烈風雨,氣象局預估最快今(30)日深夜、最晚明日晚間前解除陸上與海上颱風警報。隨著蘇拉進入南海,氣象專家指出,「現在迎來她一生的強度巔峰」,同時輕度颱風海葵也在持續增強中。
★
蘇拉未登陸台灣 台南、高雄明正常上班課
2023/08/30 18:23
中央氣象局根據最新資料指出,第9號颱風蘇拉中心目前在鵝鑾鼻南南西方海面,向西北轉西北西移動,其暴風圈已接觸台灣南端陸地,對屏東及恆春半島構成威脅。但目前高雄及台南不在警戒範圍內,因此稍早高雄市府及台南市府決議,明(31)日平地及山區雨量和風力未達停班課標準,高雄市、台南市明日正常上班上課。
★
蘇拉陸警最快深夜解除 週四風雨仍大
2023/08/30 18:14
記者谷庭/台北報導受到強颱「蘇拉」影響,中央氣象局今30日也針對恆春半島有局部大雨或豪雨發生的機率,東部、東南部(含蘭嶼、綠島)地區及屏東山區有局部大雨發生的機率,氣象局也表示明天雨勢會更明顯,尤其是在恆春半島、花東地區。
★
新/蘇拉風雨減輕 台東縣宣布明上班上課
2023/08/30 17:16
蘇拉颱風逐漸往西北西前進,台東地區風雨比原先預估減輕;縣長饒慶鈴宣布,台東縣明(31)日正常上班上課。
★
新/強颱蘇拉來了!3縣市豪、大雨特報
2023/08/30 16:04
受到第9號颱風蘇拉外圍環流影響,易有短延時強降雨,中央氣象局今(30)日15時50分發布豪雨特報,指出恆春半島有局部大雨或豪雨發生的機率,東部、東南部(含蘭嶼、綠島)地區及屏東山區有局部大雨發生的機率,請注意。
★
淹小腿肚高!旗津海水倒灌 市場變泳池
2023/08/30 15:28
蘇拉颱風逐漸往南移,南台灣大風大雨還淹水!屏東東港豐漁橋適逢年度大潮,嚴重積水;高雄旗津漁港周邊海水倒灌,就算出動三台抽水機也抽水不及,有民眾竟然還到海邊晨泳,被海巡署驅離;連旗津公有市場,水也淹到小腿肚,變成游泳池,海鮮攤商在水中克難做生意,堆放的貨品也全泡水。
★
日氣象廳海葵明轉強烈颱風 鴻雁24h內生成
2023/08/30 15:26
強颱蘇拉預計今(30)晚最接近台灣南部,預計31日進入南海,朝中國華南地區移動。日本氣象廳指出,而第11號颱風海葵可能在31日達到「強烈颱風標準」,朝西北移動,預估9月1日到2日最靠近沖繩;而第12號颱風「鴻雁」預估會在24小時內生成。
2
3
4
最新圖輯
羅志祥30周年演唱會
凱琳專訪
黃鐙輝、吳念軒、黃騰浩專訪
第62屆金馬獎得獎後台
第62屆金馬獎紅毯
HOT焦點
立院將協商外送專法 聚焦最低報酬、疊單
林岱樺重塑高雄世界級地標願景
基隆捷運先期工程開工 基北攜手動起來
更多焦點+
熱門人物
直播✦活動
三立新聞網
為了提供更好的閱讀內容,我們使用相關網站技術來改善使用者體驗,也尊重用戶的隱私權,特別提出聲明。
了解最新隱私權聲明
知道了