三立新聞網
三立藝能
追蹤娛樂星聞
FB
YT
threads
1
⚑
CH54三立新聞台直播
曹西平猝逝
百味人生
即時
熱門
熱搜
星聞
綜藝
戲劇
日韓
電影
音樂
專題
影音
節目
圖輯
蘇拉颱風最新動態
★
今年最高溫!苗栗「颱風沉降」飆40.5度
2023/08/30 15:13
根據今(30)日14時最新資料,「蘇拉」颱風暴風圈目前正籠罩屏東、恆春半島,強降雨集中在颱風中心附近的恆春半島地區。此外,中央氣象局表示,受颱風沉降作用,苗栗縣頭份市測站已飆出40.5度高溫,除了是今年最高溫外,也是該測站歷史新高。(記者:楊晏琳)
★
蘇拉「這時間」易釀災 南部今滿潮時刻曝
2023/08/30 14:13
蘇拉颱風已增強為強烈颱風,今天(30日)晚間到明天(31日)白天颱風暴風圈將登陸地,預估臺東、屏東、恆春半島風雨將逐漸明顯,中央災害應變中心指出,今天適逢年度大潮,沿海低窪地區需特別注意海水倒灌或排水不易造成之積淹水。記者陳韋劭/綜合報導
★
陣風最高10級!屏東龍磐公園風力強
2023/08/30 14:02
蘇拉颱風海陸警報齊發,不但小琉球遊客提早回程,東琉線船班午後也停駛,恆春半島風雨不斷,恆春、滿洲、枋山、車城、牡丹和獅子鄉共6個鄉鎮停班停課,部分地區陣風可以達9到10級影響通行,知名景點龍磐公園風勢強到人都站不穩,差點被吹著跑。
★
蘇拉颱風11時觸陸!全台風雨時程一次看
2023/08/30 12:09
持續關注颱風動態!氣象局說,強烈颱風蘇拉30日11時的中心位置在北緯20.2度,東經120.7度,即在鵝鑾鼻的南方約190公里海面上,以每小時13轉10公里速度,向西北西進行。
★
新/蘇拉觸陸!準颱風「鴻雁」對台影響曝
2023/08/30 11:44
根據今(30)日11時最新資料顯示,第9號颱風「蘇拉」暴風圈已接觸台灣南端陸地。(記者:楊晏琳)
★
蘇拉漸進「交通異動一覽」 49航次今停航
2023/08/30 11:12
強颱「蘇拉」逐漸靠近台灣,預計今(30)日中午前後暴風圈就會觸及屏東、恆春半島地區。受颱風影響,今日也有部分船班停航,台鐵18時前全線正常行駛。相關交通異動資訊,《三立新聞網》一次整理。(記者:楊晏琳)
★
超級藍月引年度大潮!低窪區恐現海水倒灌
2023/08/30 10:58
雙颱風逼近,加上本月30日至9月3日為「年度大潮」期間,北市府水利處表示,漲潮期間注意海水倒灌、局部淹水等現象,當水位突然上漲時可能隨時執行堤外封閉作業,建議不要前往河濱區域活動及停放車輛以策安全,特別是河濱地勢較低的淡水河台北橋周邊沿線、百齡左、右岸河濱公園等。
★
蘇拉抵台正南方風雨最劇時間曝 4地注意
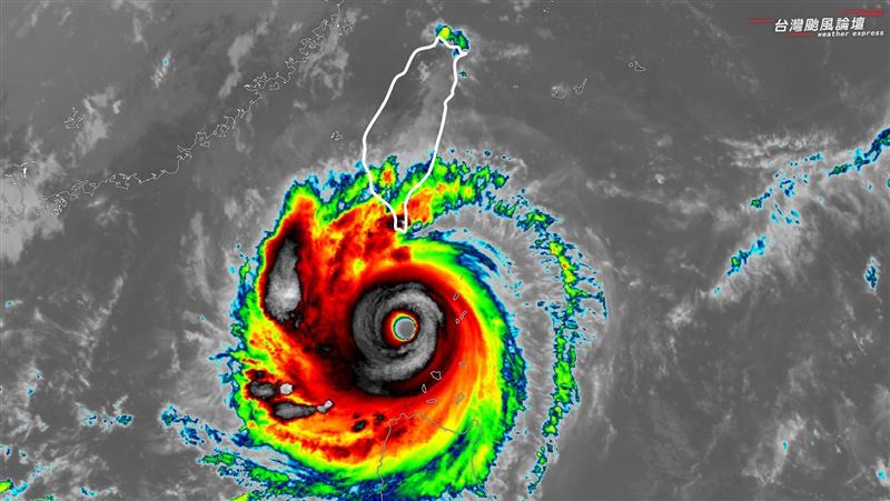
2023/08/30 10:50
蘇拉颱風雖然中心不會登陸台灣,不過仍會為台灣帶來風雨影響。對此,氣象粉專「台灣颱風論壇|天氣特急」說明,強颱蘇拉維持巔峰狀態,颱風眼依然銳利清晰,目前已達台灣正南方,並透露風雨最劇烈的時間,提醒4個地區多加留意。
★
新颱鴻雁最快今晚生成 預估「朝這裡走」
2023/08/30 10:18
台灣附近的海面上,目前除了第9號颱風「蘇拉」、第11號颱風「海葵」,還有另一熱帶性低氣壓(TD13)也已生成,氣象專家賈新興預估最快在今晚增強為第12號颱風「鴻雁」。根據中央氣象局路徑潛勢預報,鴻雁生成後,預估未來將朝日本方向前進。
★
不只蘇拉!海葵颱風8/31開始影響北部
2023/08/30 09:58
根據中央氣象局指出,蘇拉昨(29)日晚間轉為強烈颱風,暴風圈預計中午前後會逐漸接近屏東、恆春半島,但不可輕忽的是還有輕颱海葵。台北市副市長李四川今(30)日赴台北市災害應變中心主持防颱整備會議,他表示,真正對北部影響最大是海葵颱風,預估8月31日至9月2日期間最接近,雨量可能會增加。
★
防蘇拉豪雨釀災!廬山溫泉居民預防性撤離
2023/08/30 09:56
八月初慘遭土石流重創的南投仁愛鄉,面對來勢洶洶的蘇拉颱風,不敢大意,廬山地區村長29日預先勸離廬山溫泉附近居民,另外包括南豐、春陽與精英三村也展開防颱作業。南投縣政府29日下午5點半成立災害應變中心二級開設,各單位展開防颱整備工作。其中,申請入山的民眾,經勸阻後有120人取消行程,另外預先撤離險區域安置的洗腎病患110人、孕婦17人,呼籲民眾盡量不要前往山區。
★
新/蘇拉颱風逼近!3縣市發豪、大雨特報
2023/08/30 09:54
中央氣象局今(30)早09:35發布豪雨、大雨特報,受第9號颱風外圍環流影響,易有短延時強降雨,今日恆春半島有局部大雨或豪雨發生的機率,東部及東南部(含蘭嶼、綠島)地區有局部大雨發生的機率,請注意。
3
4
5
最新圖輯
羅志祥30周年演唱會
凱琳專訪
黃鐙輝、吳念軒、黃騰浩專訪
第62屆金馬獎得獎後台
第62屆金馬獎紅毯
HOT焦點
林岱樺三山造勢 「市民最大咖」時代來臨
發政策白皮書!邱議瑩:準備好接棒陳其邁
護高雄嗆柯志恩 賴瑞隆砲火猛攻拚初選
更多焦點+
熱門人物
直播✦活動
三立新聞網
為了提供更好的閱讀內容,我們使用相關網站技術來改善使用者體驗,也尊重用戶的隱私權,特別提出聲明。
了解最新隱私權聲明
知道了