三立新聞網
三立藝能
追蹤娛樂星聞
FB
YT
threads
1
⚑
CH54三立新聞台直播
曹西平猝逝
百味人生
即時
熱門
熱搜
星聞
綜藝
戲劇
日韓
電影
音樂
專題
影音
節目
圖輯
蘇拉颱風最新動態
★
蘇拉暴風圈中午觸陸 今深夜有望解除陸警
2023/08/30 09:28
中央氣象局預計強烈颱風「蘇拉」暴風圈今(30)日中午前後逐漸接近屏東、恆春半島,也新增台灣海峽北部至海警範圍。今明兩日一樣是影響台灣最劇烈的時候,最快今日深夜解除陸警,海警則是要等到明天下半天過後才有機會解除。(記者:楊晏琳)
★
一個接一個!鴻雁颱風恐生成 1現象曝光
2023/08/30 09:16
除了蘇拉颱風、海葵颱風相繼生成,還有一個熱帶性低氣壓TD13在太平洋海域。對此,天氣粉專「林老師氣象站」今(30)日指出,TD13剛剛生成並持續增強,有機會發展成今年第12號颱風「鴻雁」;後面也還有其它熱帶雲簇正在接續醞釀的訊號。
★
蘇拉攪局 恆春傳承百年「豎孤棚」喊卡
2023/08/30 09:03
蘇拉颱風接近,擔心入夜風雨漸強,屏東滿州的八瑤部落和分水嶺社區居民,晚間預防性撤離在滿州國中安置,鄉長透露有鄉民想回山上家園看看,基於安全勸阻,希望鄉民在颱風警報解除前,以安全為重。
★
蘇拉最快明解除陸警!「各地風雨」一次看
2023/08/30 08:11
氣象局已經針對強颱蘇拉發布陸上颱風警報,天氣風險公司總經理彭啟明今(30)日提醒,雖然蘇拉往南修正,但其外圍的餘威仍在,這兩天要留意較強風勢及偶有局部強陣雨發生;天氣風險公司分析師吳聖宇表示,雖然目前來看蘇拉颱風路徑偏西,對台灣的影響減小,但是暴風圈邊緣仍有機會略過台灣南端,加上外圍環流的影響,迎風面的東南部地區,特別是「3地」仍要留意較強風雨的情況。
★
蘇拉強度達顛峰!今風雨漸增明影響最劇烈
2023/08/30 08:00
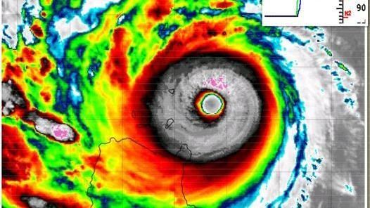
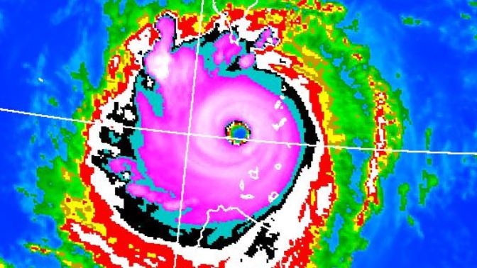
30日2時觀測資料顯示:蘇拉颱風眼清晰可見,眼牆厚實、雲頂溫度降低(左圖),顯示其已達「強颱」,美國甚至將其歸類為「超級颱風」。雷達回波合成圖亦顯現雙眼牆結構,其強度已近顛峯。30日2時中央氣象局路徑潛勢預測圖顯示,蘇拉進入巴士海峽,今日暴風圈將掠過台灣南端;明日進入台灣海峽南部;3天後其「不確定範圍(紅框)」異常擴大;另一輕颱海葵向西北西經琉球附近轉向長江口進行,3天後的「不確定範圍」亦擴大;新
★
3地颱風假達標!蘇拉暴風圈「這時」觸陸
2023/08/30 06:05
颱風蘇拉逐漸靠近台灣,中央氣象局持續發布蘇拉颱風海上、陸上颱風警報。根據中央氣象局指出,蘇拉昨(29)日晚間23時30分已轉為強烈颱風,今日上午5時時觀測資料顯示,蘇拉中心位置在鵝鑾鼻的南南東方約220公里之海面上,以每小時13公里速度向西北西移動,其暴風圈逐漸進入巴士海峽近海,對屏東及恆春半島將構成威脅。
★
開學首日6鄉鎮1區停班課 全台颱風假一覽
2023/08/30 05:20
中央氣象局指出,蘇拉昨(29)日晚間23時30分已轉為強烈颱風並逐漸靠近台灣,持續發布蘇拉颱風海上、陸上颱風警報。今日上午4時觀測資料顯示,蘇拉中心位置在鵝鑾鼻的南南東方約220公里之海面上,以每小時13公里速度向西北西移動,其暴風圈逐漸進入巴士海峽近海,對屏東及恆春半島將構成威脅。今日是開學首日,全台各縣市停班停課一次掌握!
★
台灣再躲雙颱直撲 專家曬圖:真的很會閃
2023/08/30 05:04
颱風蘇拉逐漸靠近台灣,中央氣象局持續發布蘇拉颱風海上、陸上颱風警報。根據中央氣象局指出,蘇拉昨(29)日晚間23時30分已轉為強烈颱風,今日上午4時觀測資料顯示,蘇拉中心位置在鵝鑾鼻的南南東方約220公里之海面上,以每小時13公里速度向西北西移動,其暴風圈逐漸進入巴士海峽近海,對屏東及恆春半島將構成威脅。
★
蘇拉深夜轉強颱!暴風圈進入巴士海峽
2023/08/30 00:04
颱風蘇拉逐漸靠近台灣,中央氣象局持續發布蘇拉颱風海上、陸上颱風警報。根據中央氣象局指出,蘇拉晚間23時30分已轉為強烈颱風,暴風圈更是逐漸進入巴士海峽,對屏東及恆春半島將構成威脅。
★
蘇拉深夜轉強颱!30日東南部防豪雨
2023/08/29 23:58
颱風蘇拉靠近,氣象局指出,預計30日到31日是蘇拉最接近台灣的時候,明天東半部會斷斷續續降雨,一直持續到31日之後,西半部則是高溫炎熱的天氣型態。根據氣象局資訊,蘇拉在晚間11點30分已轉為強烈颱風。
★
蘇拉南北超極端 全台風雨時程攻略來了
2023/08/29 22:19
颱風蘇拉接近台灣,中央氣象局今(29)日正式發布陸上颱風警報,預估週三、週四(30、31日)影響最明顯。氣象粉專「台灣颱風論壇|天氣特急」也公布全台風雨時程攻略,此次風雨最前線是恆春半島、台東,預計蘇拉週五(9月1日)逐漸遠離,往中國前進,對台影響結束。
★
「蘇拉」重開眼!專家:險再現尼伯特夢魘
2023/08/29 21:44
中颱「蘇拉」來勢洶洶,中央氣象局今(29)日下午17時30分發布陸上颱風警報,預計將在明、後天最接近台灣。對此,氣象粉專「觀氣象看天氣」也在臉書發文,表示好在蘇拉颱風預計會從西南部外海通過,否則當年的尼伯特、莫蘭蒂、賽洛瑪夢魘可能再現。
4
5
6
最新圖輯
羅志祥30周年演唱會
凱琳專訪
黃鐙輝、吳念軒、黃騰浩專訪
第62屆金馬獎得獎後台
第62屆金馬獎紅毯
HOT焦點
護高雄嗆柯志恩 賴瑞隆砲火猛攻拚初選
大巨蛋帶動樹林房價助攻房市升溫
白沙屯媽祖香火迎回新北!
更多焦點+
熱門人物
直播✦活動
三立新聞網
為了提供更好的閱讀內容,我們使用相關網站技術來改善使用者體驗,也尊重用戶的隱私權,特別提出聲明。
了解最新隱私權聲明
知道了